La Brigada Muncipal, personal voluntario de las localidades de El Encinal, Ánimas y Ceibillas se encuentran combatiendo el incendio forestal suscitado en La Golondrina en la...
La acción operativa se realizó en la localidad Puerta Cadena, municipio de Pátzcuaro
Entrega Departamento de Medio Ambiente y Ecología 16 mil arbolitos en programa “Plantemos Vida, Adoptando un Árbol”
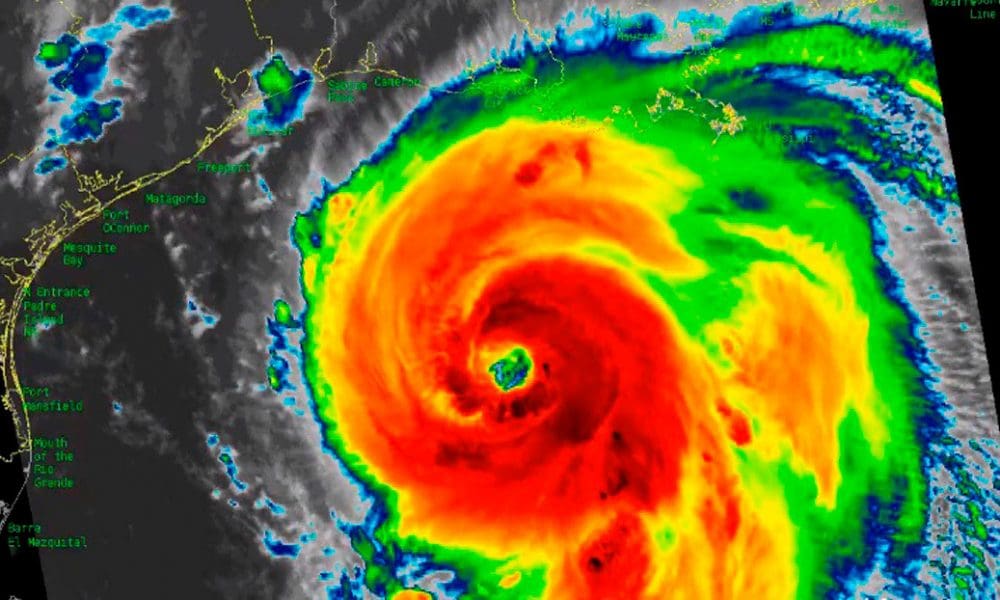
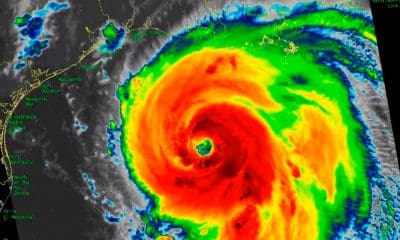
Se prevé que el fenómeno meteorológico alcance tierra en las próximas horas.
La tormenta aún provoca vientos sostenidos de más de 100 kilómetros por hora y podría retomar fuerza de huracán antes del jueves, en su trayecto hacia...
El sismo se ha registrado este 19 de octubre a las 20:54 (GMT) al sureste de las islas Aleutianas.