Medio Ambiente
El huracán Michael se intensifica en el golfo de México y alcanza la categoría 2 Publicado
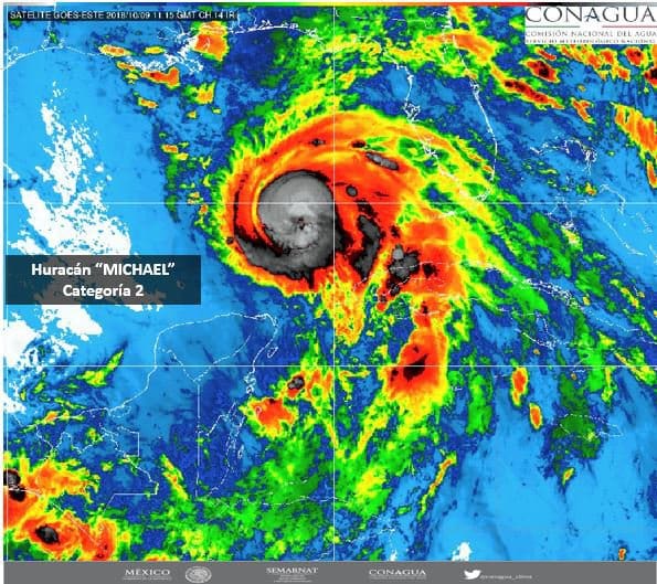
El huracán Michael se ha intensificado este martes en el golfo de México, alcanzando la categoría 2 mientras avanza hacia la costa sureste de EE.UU.
“MICHAEL” con categoría 2 en la escala Saffir-Simpson, continúa desplazandose hacia el nor-noroeste.

Su circulación favorecerá el potencial de tormentas puntuales fuertes (25 a 50 mm) en Yucatán y Quintana Roo, así como intervalos de chubascos (5.1 a 25 mm) en Campeche, las lluvias estarán acompañadas de actividad eléctrica.
Se esperan rachas de viento que pueden superar los 50 km/h y oleaje elevado de 1 a 2 metros de altura en las costas de Yucatán.

Se pide Extremar precauciones a la población en general en las zonas de los estados mencionados por lluvias, viento y oleaje (incluyendo la navegación marítima) y atender las recomendaciones emitidas por las autoridades del Sistema Nacional de Protección Civil, en cada entidad.
-
Política2 días agoOctavio Ocampo recorre Ceibas de Trujillo en Tiquicheo y resalta el trabajo territorial del PRD
-
Zitácuaro12 horas agoAlcalde de Zitácuaro pide diálogo interno en Crescencio Morales tras afectaciones viales
-
Regionales3 días agoJungapeo pone en marcha el módulo móvil de mastografía para impulsar la detección temprana del cáncer de mama
-
Tuxpan3 días agoDavid López Flores supervisa avances en bacheo y anuncia proyecto hídrico clave para Tuxpan
-
Congreso3 días agoEl Congreso de Michoacán aprueba desincorporación de 38 inmuebles para servicios públicos
-
Michoacán3 días agoAlfredo Ramírez Bedolla anuncia inversión de 165 millones de pesos sin deuda pública en la Secretaría de Salud para pacientes con cáncer
-
Zitácuaro2 días agoVanessa Millán aplaude el arranque del Morebús: “Un proyecto que Morelia merece”, reconoce la delegada regional
-
Seguridad2 días agoMujer de 19 años resulta lesionada tras ser atropellada en Zitácuaro


Debe estar conectado para enviar un comentario.