Internacionales
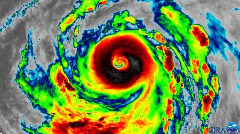
“De momento, la tormenta más potente en la Tierra”: “Violento” supertifón Hagibis se dirige hacia Japón (FOTO, VIDEOS)
Los meteorólogos predicen que la tormenta, que ahora se mueve con vientos de 240 kilómetros por hora, se debilitará antes de tocar el territorio del país asiático este fin de semana.
El supertifón Hagibis —que según la Administración Nacional Oceánica y Atmosférica de EE.UU. (NOAA) “es de momento la tormenta más potente en la Tierra”— se está dirigiendo hacia Japón con vientos de más de 240 kilómetros por hora y se espera que toque su territorio este fin de semana.
Desde la institución informaron que cobró fuerza de forma muy rápida y se trasformó de tormenta tropical a supertifón en solo 18 horas.
A su vez, el investigador de huracanes en la Universidad Estatal de Colorado (EE.UU.), Philip Klotzbach, afirmó a través de su cuenta en Twitter que se trata de “la mayor intensificación” por parte de un ciclón tropical en el Pacífico noroccidental durante dicho período desde el tifón Yates, en 1996.
Mientras tanto, la Agencia Meteorológica de Japón calificó la intensidad de Hagibis de “violenta“.
En ese contexto, Japan Times cita a Robert Speta, experto en tifones, quien precisó que el aumento de la fuerza de Hagibis fue “explosivo”. “Pasó de una tormenta tropical a un tifón violento en cuestión de horas. De hecho, fue histórico volumen de intensidad en tan poco tiempo”, destacó.
Hagibis ya ha impactado las Islas Marianas del Norte, donde desató grandes lluvias y fuertes vientos y se prevé que la noche del próximo sábado o la mañana del domingo se acerque a la isla japonesa de Honshu. Sin embargo, los meteorólogos predicen que antes de aproximarse al territorio nipón se debilitará, y llegará ya como una tormenta de categoría 1 o 2, aunque todavía hay dudas sobre su trayectoria final.
-
Regionales3 días agoDavid López impulsa obras de saneamiento hídrico en Tuxpan
-
Regionales16 horas agoNorma Angélica Yañez Sierra impulsa mejora de vivienda con programa de cemento a bajo costo
-
Zitácuaro2 días agoMagisterio de Michoacán inicia la “3era Copa Do-CNTE” en Zitácuaro orientada a la unificación sindical
-
Regionales3 días agoFernando Ocampo asegura inversión del FAEISPUM para infraestructura en Tuzantla
-
Seguridad2 días agoReportan dos lesionados tras accidente de motoneta en la Avenida Revolución Norte de Zitácuaro
-
Michoacán16 horas agoConagua pronostica lluvias fuertes y granizo en siete regiones de Michoacán
-
Congreso17 horas ago76 Legislatura establece la educación cívica como derecho obligatorio en Michoacán
-
Michoacán19 horas agoBedolla afirma que Michoacán resuelve más del 80% de los feminicidios tras activar 127 Centros LIBRE

