Medio Ambiente
El huracán Laura gana fuerza hacia la categoría 4 en su avance a EE.UU., donde podría provocar “daños catastróficos”
El presidente de EE.UU., Donald Trump, ha advertido de que es un huracán “muy peligroso” y que se intensifica “rápidamente”.
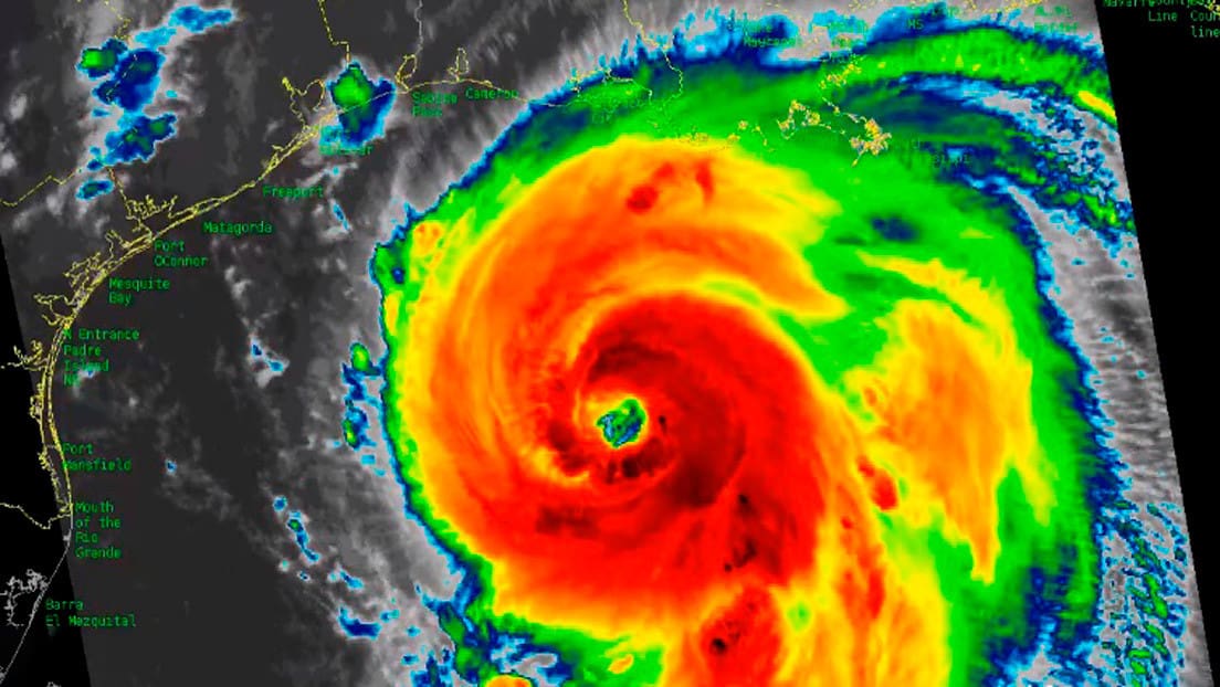
El huracán Laura, que avanza hacia los estados de Texas y Luisiana, podría convertirse en categoría 4 antes de tocar tierra y después provocar “daños catastróficos”, según informó este miércoles le Centro Nacional de Huracanes (CNH).
“Las condiciones se deteriorarán rápidamente a lo largo de la costa en unas pocas horas. Es necesario que estén terminados los preparativos para proteger las vidas y propiedades”, informó el centro.
Laura, que avanza con vientos de 185 km/h, podría originar “una marejada ciclónica, vientos extremos e inundaciones” a lo largo de la costa noroeste del Golfo de México. Asimismo, los meteorólogos calculan que el agua podría penetrar hasta 30 millas (unos 48 kilómetros) tierra adentro desde la línea costera.
“El Servicio Meteorológico Nacional dice que la marejada ciclónica en algunas áreas a lo largo de la costa será insuperable. Si le han dicho que evacue, hágalo ahora”, advirtió el gobernador de Luisiana, John Bel Edwards, en Twitter. El funcionario también anunció que se ha desplegado a toda la Guardia Nacional.
Evacuaciones
Según CNN, se ha ordenado la evacuación obligatoria o voluntaria a más de 1,5 millones de personas en Texas y Luisiana.
“Insto a los ciudadanos de la zona a que sigan tomando todas las precauciones necesarias a medida que el huracán Laura se acerca a la costa y presten atención a las orientaciones de los oficiales locales”, destacó el gobernador de Texas, Greg Abbott.
El huracán también ha puesto en peligro la industria petrolera, en especial los centros de Lake Charles en Luisiana y de Beaumont y Port Arthur en Texas.
Laura alcanzó el domingo a Cuba como tormenta tropical y tras su paso por la isla de La Española, que comparten República Dominicana y Haití, donde dejó un saldo de al menos 20 muertos, grandes extensiones habitadas completamente anegadas y cuantiosos daños materiales.
https://actualidad.rt.com/actualidad/364477-huracan-laura-categoria-4-texas-luisiana
-
Michoacán2 días agoAlfredo Ramírez Bedolla inaugura Torneo Mundial de Fútbol de Policías y Bomberos con participación internacional
-
Michoacán2 días agoSecretaría de Gobierno convoca a nueva mesa de diálogo para resolver huelga en la UMSNH
-
Seguridad2 días agoUn deceso y cuatro lesionados tras colisión vehicular en la carretera San Felipe-Angangueo
-
Política2 días agoJesús Mora González respalda nueva dirigencia nacional de Morena
-
Regionales2 días agoDavid López Flores anuncia festejo del Día de las Madres en Tuxpan
-
Regionales2 días agoAutoridades de Benito Juárez localizan a menor víctima de secuestro virtual
-
Seguridad3 días agoAccidente vehicular en la carretera Morelia-Zitácuaro deja un lesionado
-
Michoacán2 días agoAlfredo Ramírez Bedolla anuncia programa de condonación de multas en trámites vehiculares

